
1 home available
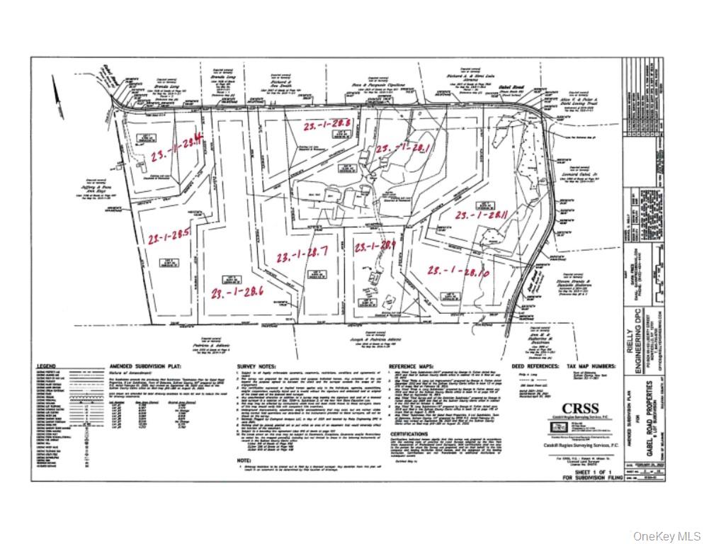
356 Gabel Road, Callicoon, NY 12723
NEW 13 hrs ago

$2,995,000
60.32acres
Land for Sale
356 Gabel Road, Callicoon, NY 12723
Listing by: Malek Properties
1 - 1 of 1 results

NYS Fair Housing NoticeNYS Reasonable Accommodation & Modification NoticePrivacy PolicyTerms of UseADADMCAReal Estate SitemapReal Estate Agent & Office Directory
400 Broadhollow Road, Suite 5, Farmingdale, NY 11735
Copyright © 2026 OneKey® MLS LLC
Display of MLS Data is usually deemed reliable but is NOT guaranteed accurate by the MLS. Buyers are responsible for verifying the accuracy of all information and should investigate the data themselves or retain appropriate professionals.
















































